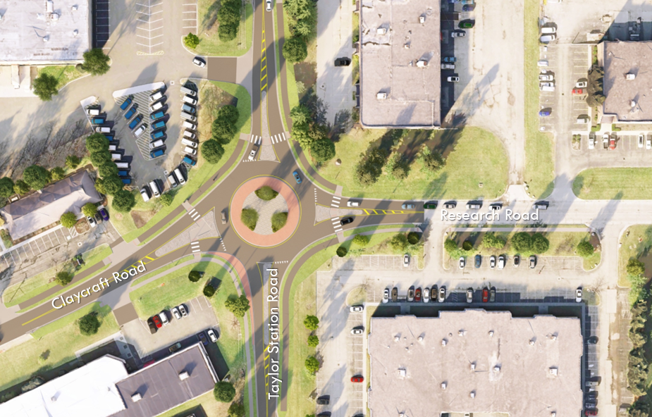
Project Description:
The intersection at Taylor Road and Claycraft Road is critical to the City’s industrial area. During peek hours, the intersection operates at an E or failing level of service. This results in backups on Taylor Road as far south as East Broad Street. The proposed roundabout will improve the level of service at this intersection and improve travel along Taylor Rd and Claycraft Rd. This project consists of constructing a modern roundabout intersection at the intersection of Taylor Station Road, Claycraft Road, and Research Road including concrete curbs, asphalt paving, concrete base, sidewalk, shared use path, water mains, storm sewers, street lighting, signing, pavement markings, and landscaping.